
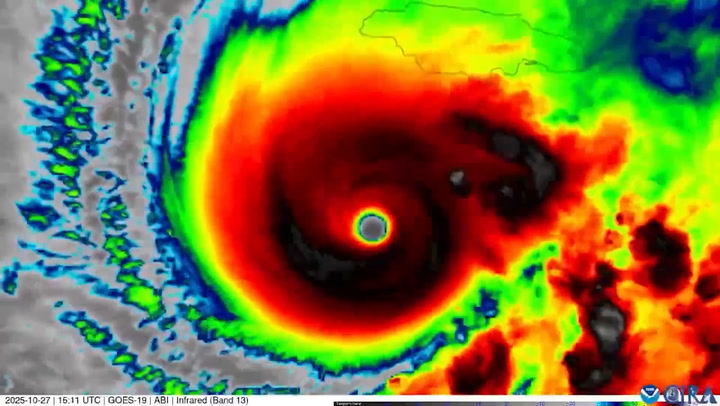
An animation depicts how Hurricane Melissa, the most powerful storm recorded this year, has strengthened over the past 24 hours before it made landfall on Tuesday (28 October).
A graphic released by Cloud Investigation and Response Automation (CIRA) on Tuesday (28 October) shows the category five storm gaining power as it hurtles closer towards Jamaica.
It is predicted to bring with it up to 30 inches of rain and “life-threatening storm surges”.
At least seven people have died in the Caribbean so far, including three in Jamaica, three in Haiti and one in the Dominican Republic.
Mandatory evacuations were ordered in at least seven flood-prone communities on the island.
