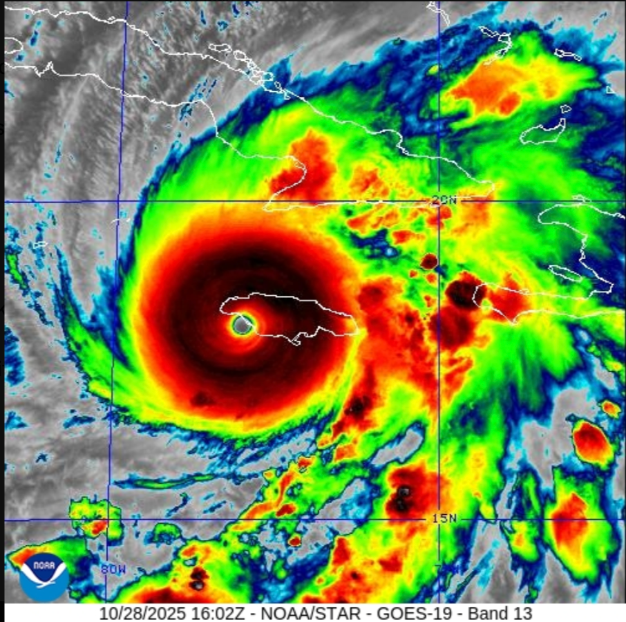
The “storm of the century” made landfall in western Jamaica on Tuesday afternoon as thousands of people were warned to flee before destructive winds, flash flooding and landslides caused catastrophic damage.
At least seven people have been killed so far – three in Jamaica, three in Haiti and one in the Dominican Republic – after Hurricane Melissa intensified. One person is missing.
The Miami-based hurricane centre warned that “total structural failure” was likely in Melissa’s path.
The government has ordered 28,000 people to leave their homes and go to shelters, but some were reluctant, and only 6,000 have done so so far, said minister Desmond McKenzie. Officials have also urged civilians to evacuate danger zones.
The International Federation of the Red Cross estimated 1.5 million people would be affected across the Caribbean island of 2.8 million people.
British people in Jamaica have been urged to register their presence with the Foreign Office, which has set up a crisis centre for UK citizens. Royal Navy ship HMS Trent is in the region on stand-by.
“Trillions of gallons of water” are expected to fall on the country, said United Cajun Navy vice-president Brian Trascher.
“It’s a catastrophic situation,” the World Meteorological Organisation’s tropical cyclone specialist Anne-Claire Fontan said. “For Jamaica, it will be the storm of the century, for sure.”
Storm surges of up to four metres were expected, with rainfall set to exceed 2.3ft, she said, causing catastrophic flash flooding and landslides.
Mr McKenzie warned: “Don’t bet against Melissa, because you will lose,” as authorities implored residents to seek protection in shelters and fortify their homes.
Jamaican electricity company JPS said power cuts had affected more than a third of its customers but in its worst-hit areas, three-quarters lost power.
Melissa made landfall – where the eye of the storm moves over land – near the town of New Hope, 39 miles south of Montego Bay, packing maximum sustained winds of 185mph, the US National Hurricane Centre said.
The most powerful level on the Saffir-Simpson scale, Category 5, requires speeds of at least 157mph.
“The destruction could be unlike anything people in Jamaica have seen before,” said AccuWeather’s lead hurricane expert Alex DaSilva. “The island has never taken a direct hit from a Category 4 or a Category 5 hurricane in recorded history.”
Melissa is the third-most intense hurricane in the Caribbean after Wilma in 2005 and Gilbert in 1988, according to AccuWeather.
Its extreme wind speeds mark it out as the second-strongest hurricane in the history of the Atlantic, tied with four other storms.
Moving at a deceptively glacial pace of around 3mph, the tropical storm intensified from Category 4 to Category 5 within 24 hours.
After reducing in intensity to a Category 4 on Wednesday and crossing eastern Cuba, where 500,000 people have been ordered to leave their homes, Melissa is forecast to head through Bermuda and the Bahamas, where prime minister Philip Davis has ordered evacuations of homes in southern and eastern areas.
Surrounding areas, including the southeastern and Central Bahamas and Turks and Caicos, could also suffer a “life-threatening storm surge” and heavy rainfall, the National Hurricane Centre said.
There is also concern about the country’s ability to withstand the damage.
“There is no infrastructure in the region that can withstand a Category 5,” Jamaica’s prime minister Andrew Holness admitted on Tuesday.
Its slow pace makes Melissa deadlier, with sustained winds and accumulated rainfall inflicting maximum damage to the vulnerable and low-lying island. Around 70 per cent of Jamaica’s population of over 2.8 million people lives in coastal areas.
“Slow-moving major hurricanes often go down in history as some of the deadliest and most destructive storms on record,” said AccuWeather chief meteorologist Jonathan Porter. “This is a dire situation unfolding in slow motion.”
Cherelle Mukoko, former Miss Jamaica UK, told The Independent that her uncle was on the island’s central plateau amid the storm. Living in his late parents’ home, a building that has been in the family for generations and “was built with love from the ground up”, he had decided not to evacuate.
“We’ve been in close contact with him, checking in daily about Hurricane Melissa,” she said. “He remains calm and optimistic, as he’s lived through several major storms in the past. He’s taken all possible precautions: the windows are boarded up, the property secured, and supplies stocked.
“He won’t be leaving for a shelter; instead, he’ll stay in the family home, which has stood strong through many severe weather conditions. While we here in the UK probably feel more anxious, he reassures us constantly and embodies that quiet Jamaican resilience.”
